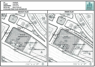
İlçemiz Konak Mahallesi sınırları içerisinde bulunan 217 ada 1, 6, 7 ve 9 parsellerde, yürürlükteki imar planında parseller ile ada kenar çizgileri arasında oluşan uyumsuzluğun giderilmesi amacıyla imar planı değişikliği yapılmıştır.
Gerçekleştirilen imar planı değişikliği kapsamında, “Ticaret Konut Alanı” fonksiyonu altında yer alan alanın yapılaşma koşulları yeniden düzenlenmiştir. Buna göre mevcutta Emsal: 0.40 ve Yençok: 6.50 metre olan yapılaşma hakları, Emsal: 1.00 ve Yençok: 9.50 metre olarak belirlenmiştir.
Söz konusu imar planı değişikliği, 3194 sayılı İmar Kanununun 8. maddesinin (b) fıkrası uyarınca ilan edilmiştir.
Kamuoyuna saygıyla duyurulur.